Uragani Milton merr formën e frikshme të 'kafkës' pak çaste përpara se t'i afrohet Floridas

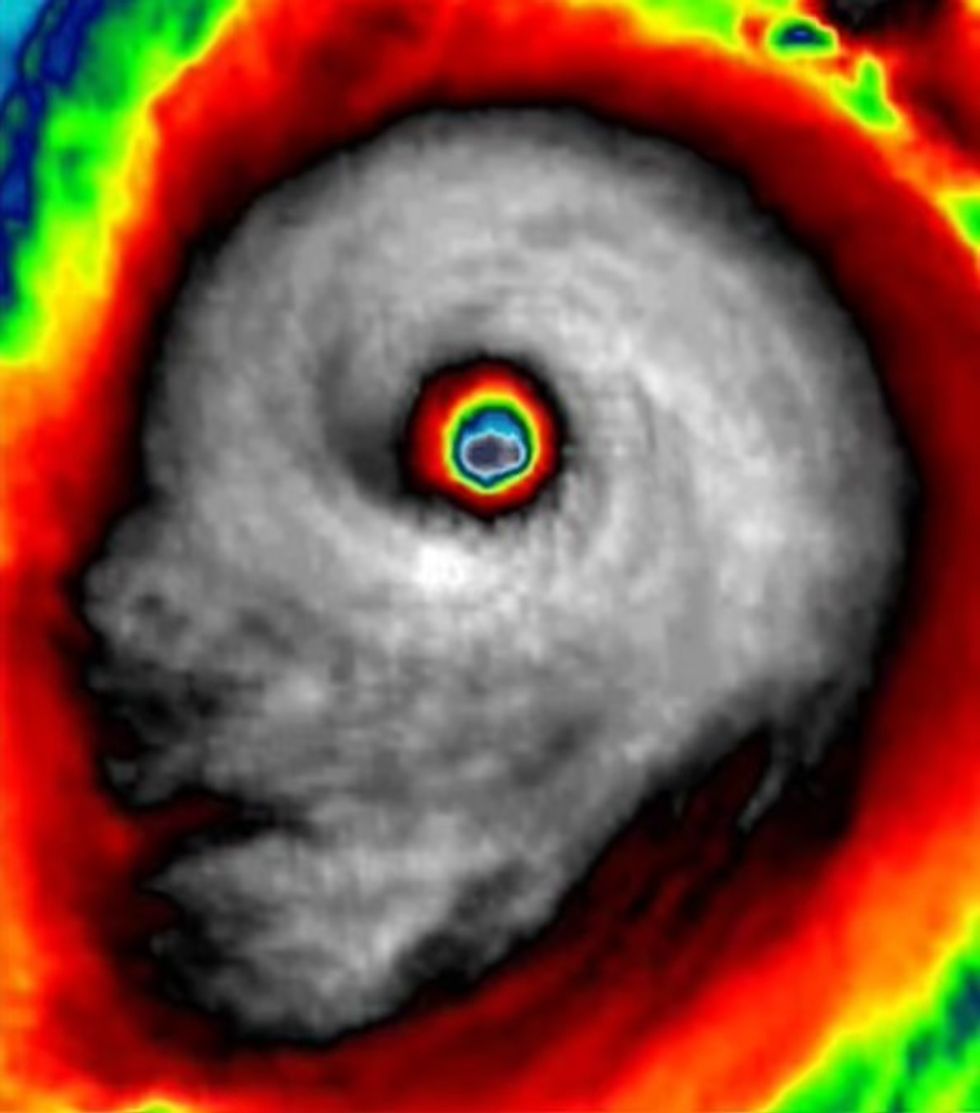
Një imazh satelitor rrëqethës i uraganit Milton tregon stuhinë duke marrë formën e një kafke përpara se të zbriste në Florida të mërkurën.
Stu Ostro, meteorolog i lartë në Weather Channel, ndau foton e frikshme në X, duke e shfaqur atë pranë një imazhi të ngjashëm të uraganit Matthew në 2016.
Milton dukej se ‘po shikonte mbrapa, me një buzëqeshje të frikshme’ teksa vërshonte në gji dhe po shkonte drejt Floridës.
Imazhi ogurzi erdhi pak çaste përpara se Milton të godiste shtetin, duke shkaktuar përmbytje dhe erëra shkatërruese, transmeton Telegrafi.
Një përdorues tjetër i X - Storm Chaser Rob nga Alabama - ndau një video të radarit satelitor teksa Milton u shndërrua në formën e keqe.
'Kemi një kafkë. Kjo është një pamje shqetësuese. Kjo më bëri të dridhura në shtyllën kurrizore. Për uraganin Milton do të flitet për një kohë të gjatë”, ka shkruar ai.
Ekspertët e kanë përshkruar uraganin Milton si një stuhi 'përbindësh' – që e bën këtë imazh satelitor edhe më të përshtatshëm. /Telegrafi/






















































