Rritet numri i të vdekurve nga uragani në Xhamajka

Një total prej 28 personash kanë vdekur pas shkatërrimit të uraganit Melissa në të gjithë Xhamajkën, ka konfirmuar qeveria.
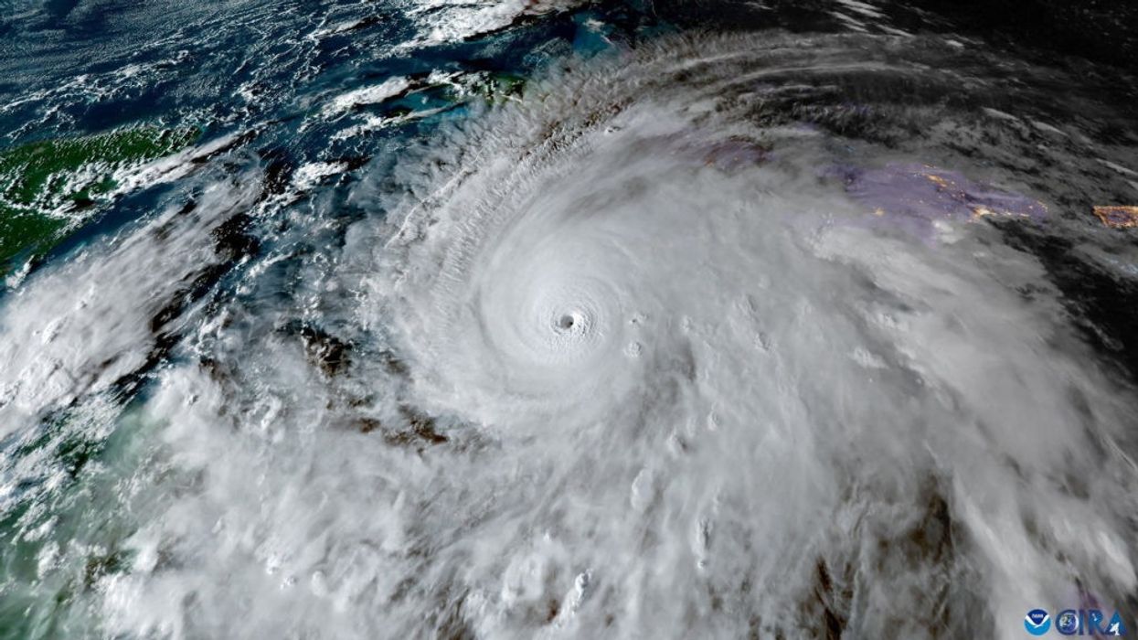
Melissa, një nga stuhitë më të forta të regjistruara që ka prekur Karaibe, solli me vete erëra deri në 297 km/h kur goditi ishullin në fillim të kësaj jave.
Kryqi i Kuq e përshkroi atë si një "katastrofë të paparë".
Melissa shkatërroi Xhamajkën , Haitin, Republikën Dominikane dhe Kubën.
U dobësua kur arriti në Kubë, por përsëri solli shkatërrime - me shtëpi të shembura dhe rrugë të bllokuara.
Një deklaratë nga qeveria e Xhamajkës tha se ishte "thellësisht e trishtuar të konfirmonte 28 viktima të lidhura me kalimin e Uraganit Melissa".
Më tej vazhdoi: “U shprehim ngushëllime të sinqerta familjeve, miqve dhe komuniteteve që janë në zi për të dashurit e tyre.” /Telegrafi/




















































