Trump paralajmëron për t’u mbrojtur nga uragani Irma
Presidenti amerikan, Donald Trump dhe guvernatori i Floridas, Rick Scott, u kanë bërë thirrje rezidentëve në jug të Floridës të ndjekin urdhrat e evakuimit përballë afrimit të uraganit Irma, që ka shkatërruar një pjesë të Karaibeve gjatë kalimit të tij.
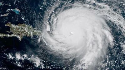
“Uragani Irma ka madhësi epike, ndoshta është më i madhi i parë ndonjëherë. Sigurohuni dhe largohuni nga rruga e tij, nëse është e mundur”, shkruan Trump në “Twitter”.
“Irma është dobësuar sot duke rënë në një stuhi të kategorisë 4 me erëra që arrijnë 240 kilometra në orë, por vazhdon të jetë një prej stuhive më të fuqishme që Florida është përballur ndonjëherë”, paralajmërojnë zyrtarët.
Efektet e saj u ndjenë në veri të Kubës dhe në Bahama të premten dhe pritet të mbërrijë në Majami të dielën, njoftoi Qendra Kombëtare Amerikane e Uraganeve.


