Nis zhvendosja e laurave në Stacionin e Autobusëve në Prishtinë

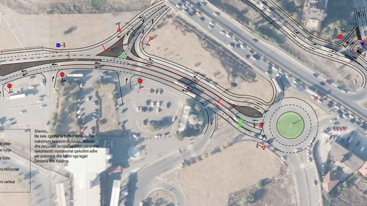
Komuna e Prishtinës ka nisur punën për zhvendosjen e laurave brenda Stacionit të Autobusëve në Prishtinë.
Kjo ishte kërkesë e kahershme e banorëve të lagjes Kalabria.
Kështu ka bërë të ditur drejtori i Shërbimeve Publike në Komunën e Prishtinës, Ilirik Musliu.
Në një postim në Facebook, ai ka thënë se me këtë ndryshim të qarkullimit, banorëve të Kalabrisë do të iu mundësohet qasje direkte në rrugët magjistrale Prishtinë-Mitrovicë M2, Prishtinë-Fushë Kosovë M9 dhe lidhje direkte me lagjen Dardania.
“Me rekomandim të Task Forcës Rrugore dhe Sektorit të Mobilitetit, qytetarëve të lagjes Kalabria po ju mundësohet qasje direkte në rrugët magjistrale Prishtinë-Mitrovicë M2, Prishtinë-Fushë Kosovë M9 dhe lidhje direkte me lagjen Dardania”, ka shkruar Musliu.
Tutje, ka bërë të ditur se rekomandime dhe intervenime të tilla do të ketë tani në vazhdimësi, me qëllim të implementimit të Planit të Mobilitetit, e që si objektivë kryesore kanë zgjidhjen e kaosit në trafik. /Telegrafi/




















































